China's Zhejiang raises emergency response as Typhoon Muifa approaches

2022-09-13 10:11:19 source:Xinhua


HANGZHOU -- East China's Zhejiang province has upgraded its typhoon emergency response to Level III, the third-highest, as Muifa, the 12th typhoon this year, moves closer.


The provincial flood control and typhoon and drought relief headquarters raised the response level at 5 pm Monday, according to the provincial emergency management department.


Authorities across Zhejiang will closely follow the development of the typhoon and take a series of precautions, including issuing early warnings and evacuating people to safety.


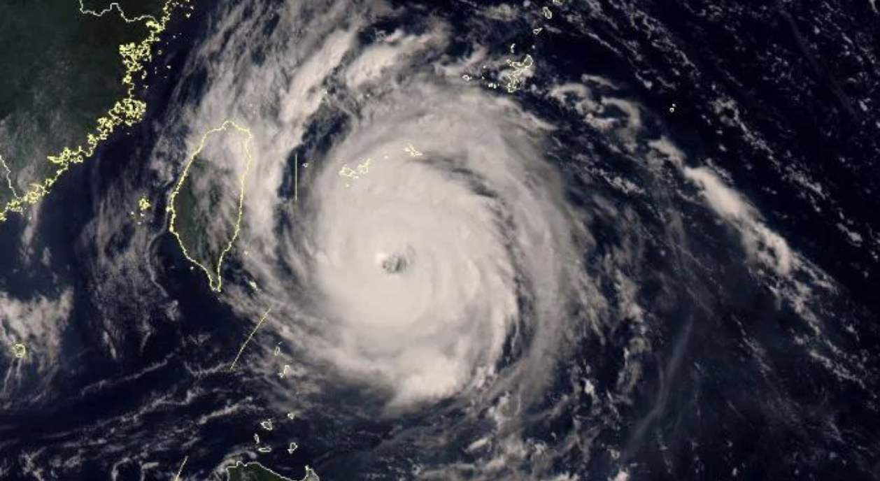
Muifa was about 610 km southeast of the city of Zhoushan at 2 pm Monday, packing winds of up to 144 km per hour at its center and moving northward at 5 to 10 km per hour, according to the local meteorological department. It was forecast to make landfall or brush by the coast from Zhoushan to Ningbo from Wednesday night to Thursday.


Editor: Tan Qikuan

Editor: 谭企宽

Follow us

Download our app for more news

chaoxinwenQR
分享缩略图